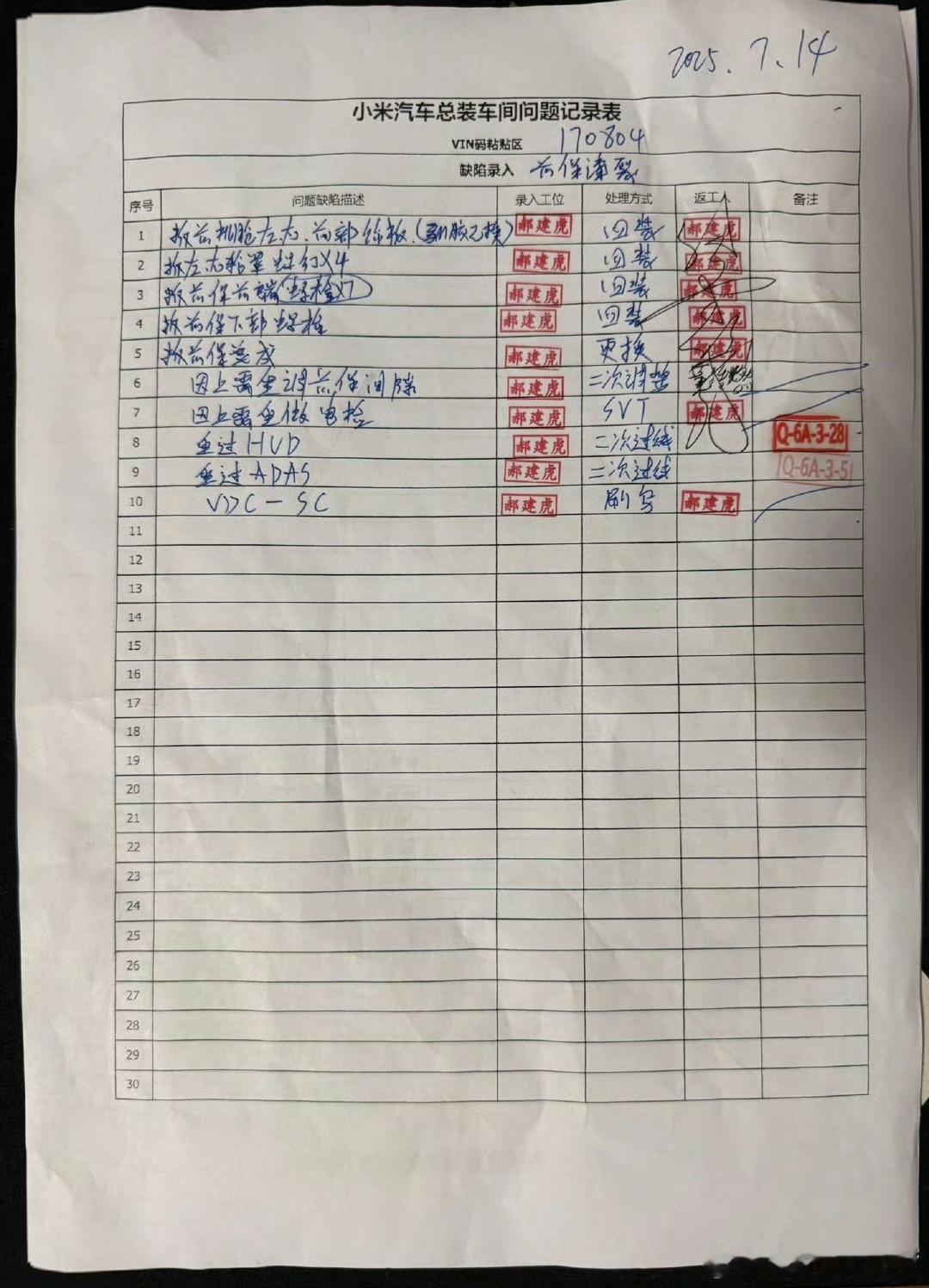
网友购买的全新YU7里面有小米汽车工厂的维修工单! 陈震:如果是真的,等等看官方说法和解决方案呗,我没啥看法~[思考] 这件事情也挺离谱的,因为合格证开具的日期是7月11日,维修工单开具的日期是7月14日,这个车主提车的日期也是7月14日。 而且还有与销售的对话,结果拖了很久都没有解决,这个车主只能艾特大V了。 这个车主不仅艾特了陈震,也艾特了孙少军,艾特了雷军,小米汽车和小米工厂。 要不是陈震转发这个东西,绝大多数人应该是看不到的。各位是怎么看的?欢迎评论区留言。








网友购买的全新YU7里面有小米汽车工厂的维修工单! 陈震:如果是真的,等等看官方说法和解决方案呗,我没啥看法~[思考] 这件事情也挺离谱的,因为合格证开具的日期是7月11日,维修工单开具的日期是7月14日,这个车主提车的日期也是7月14日。 而且还有与销售的对话,结果拖了很久都没有解决,这个车主只能艾特大V了。 这个车主不仅艾特了陈震,也艾特了孙少军,艾特了雷军,小米汽车和小米工厂。 要不是陈震转发这个东西,绝大多数人应该是看不到的。各位是怎么看的?欢迎评论区留言。








评论列表
猜你喜欢
【123评论】【16点赞】
【35评论】【5点赞】
【18评论】【1点赞】
【6评论】【1点赞】
【9评论】【1点赞】
【176评论】【29点赞】
作者最新文章
热门分类
汽车TOP
汽车最新文章
已入中年
米:这个是为了给客户最好的保障,不行再送一个零件?😂😂😂😂😂
bbkingbb
突然想到之前不是有人提了一辆“测试车”嘛