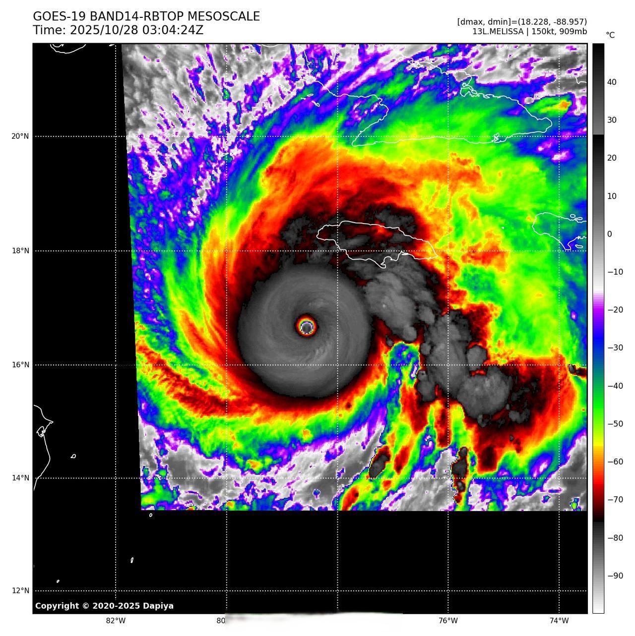
【梅利莎已成2025年全球风王】在加勒比海的异常暖核、高空急流支持下,飓风梅利莎继续稳定持续增强,目前中心最低气压903百帕,中心附近最大风力150kt,已超过桦加沙暂时成为2025年全球风王。 由于种种复杂的结构和动力原因,梅利莎的云图表现远远超出其飞机探测强度表现。它拥有2013年超强台风海燕以来最持久、最稳定的顶级卫星云图表现,T指数已经长期超过8.0。目前梅利莎正在进行飓风眼扩大、核心云团增强的过程,酷似海燕的最后冲刺加强过程。梅利莎还有一定的增强空间,有可能成为西半球最强热带气旋之一。



